広い敷地に「木造平家建の母屋・離れ」と平家倉庫
自然にかこまれた場所でスローライフを楽しみませんか?
瀬戸内の温暖な気候!! 豊かな自然!!山口県へのUJIターンを応援します。
新規就農のお手伝いをします!!
広い敷地に「木造平家建の母屋・離れ」と平家倉庫 Tu-310
おススメポイント
※広い敷地 宅地791.88㎡(239.54坪)
※母屋 木造瓦葺平家建5DK
※離れ 木造瓦葺平家建1K(風呂・台所・トイレ)
※多目的に使える(趣味・園芸・収納)
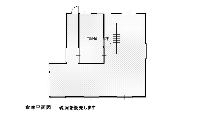
木造平家建倉庫(洋間・小屋裏)
※「海釣り」が楽しめる
・瀬戸内海の向島まで車で9分
広い敷地に「木造平家建の母屋・離れ」と平家倉庫の詳細
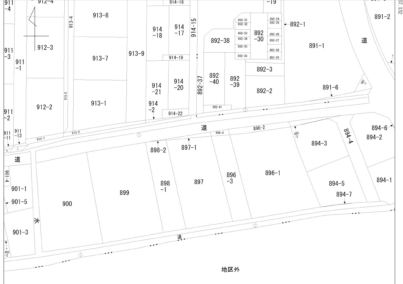
| 所在地 | 山口県防府市大字仁井令897番 他 |
|---|---|
| 価格 | 9,800,000円 |
| 間取り | 母屋5DK・離れ1K・倉庫(1洋間) |
| 土地面積 | ※地目面積 宅地:897番 420.32㎡ 896番3 166.76㎡ 898番1 204.80㎡ 合計面積:791.88㎡ ※面積・地目は公簿表示 |
| 建物面積 | ①構造:木造瓦葺平家建 床面積:1階100.33㎡ 築年数:明治17年築 ②構造:木造瓦葺平家建 床面積:1階95.05㎡ 昭和24年築 ③構造:木造瓦葺平家建 床面積:1階56.42㎡ 築年数:昭和38年築 ④構造:木造瓦葺平家建 床面積:1階33.58㎡ 築年数:昭和52年築 ※固定資産税表示 |
| 地目 | 宅地 |
| 権利 | 所有権 |
| 建ぺい率 | 60% |
| 容積率 | 100% |
| 都市計画 | 市街化調整区域 |
| 用途地域 | 無指定 |
| その他規制 | ・景観法 ・高潮浸水想定区域内 ・航空法 |
| 設備 | ・上下水道・都市ガス ・電気 ・母屋(風呂・トイレ・台所) ・離れ(風呂・トイレ・台所) ・母屋2001年改修工事 トイレ・風呂、洗面所・台所 廊下・押入れ・出入口 |
| 交通 | ・JR山陽本線 防府駅より3.5Km ・山陽道防府西ICより6.3Km ・寺開作バス停100m徒歩2分 |
| 接道状況 | ・北側5m公道に27m接道 ・南側2m公道に3m接道 |
| 取引形態 | 仲介 |
| 備考 | ※華城小学校2.6Km徒歩33分 ※桑山中学校1.6Km徒歩20分 ※現況での引渡しです ※物件情報について ◇地積、建物床面積、仕様に変更が生じる場合がございます。 ◇図面と現況が異なる場合には現況を優先します |




